肌营养不良蛋白产量的增加与golodirsen在杜氏肌萎缩症患者
做出评论
看到评论
这篇文章有一个修正。请参阅:
文摘
客观的报告安全、药物动力学、外显子53跳过,肌营养不良蛋白表达golodirsen-treated杜氏肌肉营养不良症(DMD)适合患者外显子53跳过。
方法第1部分是一个随机、双盲、安慰剂对照,12周的每周golodirsen剂量滴定;第二部分是一个开放的评价。安全性和药物动力学是第1部分的主要和次要目标。第2部分的主要生物结果测量外显子跳过蒙蔽,肌营养不良蛋白的蛋白质生产肌肉活检(48周的基线,)评估,分别使用逆转录PCR和免疫印迹和免疫组织化学。
结果12个患者被随机分配接受golodirsen (n = 8)或安慰剂(n = 4)第1部分中。所有额外1 + 13部分患者接受30毫克/公斤golodirsen第2部分中。安全的结果与那些以前观察到儿科DMD患者。大多数的研究药物排泄后4小时内管理。显著增加外显子53跳过与∼16倍增加超过基线的肌营养不良蛋白蛋白表达在48周,平均百分比正常肌营养不良蛋白的蛋白质标准的1.019%(范围,0.09% - -4.30%)。Sarcolemmal本地化的肌营养不良蛋白被显著增加了dystrophin-positive纤维(48周,p< 0.001)和正相关(枪兵r= 0.663;p从基线< 0.001)与肌营养不良蛋白的蛋白质变化,用免疫印迹和免疫组织化学。
结论Golodirsen耐受良好;golodirsen-treated病人肌肉活检显示增加外显子53跳过,肌营养不良蛋白生产和正确的抗肌萎缩蛋白sarcolemmal本地化。
Clinicaltrials.gov标识符NCT02310906。
证据的分类本研究类我提供证据证明golodirsen是安全的和第四类证据,以至于外显子跳过和新颖的抗肌萎缩蛋白经三种不同的化验。
术语表
- 6 mwt=
- 6分钟步行试验;
- AE=
- 不良事件;
- 中电控股=
- 等离子体间隙;
- Cmax=
- 最大浓度;
- DMD=
- 杜氏肌萎缩症;
- 高通滤波器=
- 大功率领域;
- 国际刑事法庭=
- 组内相关系数;
- 信使核糖核酸=
- 信使核糖核酸;
- PDPF=
- 百分比dystrophin-positive纤维;
- PMO=
- phosphorodiamidate吗啉代低聚物;
- ROA=
- 地区的分析;
- rt - pcr=
- 逆转录聚合酶链反应;
- TEAE=
- 治疗诱发的不良事件;
- Vss=
- 研究药物在稳态分布的体积
杜氏肌营养不良症(DMD)是一种退行性神经肌肉疾病由突变引起的DMD基因1影响∼1/3,500——全球5000个男孩出生。2,- - - - - -,4突变导致DMD扰乱肌营养不良蛋白信使核糖核酸(mRNA)阅读框和预防功能的肌营养不良蛋白的生产。5,- - - - - -,7肌营养不良蛋白,蛋白质复合体的重要组成部分,连接肌肉细胞外基质细胞骨架,在偏心收缩和改善肌肉膜损伤。5,8,- - - - - -,10肌营养不良蛋白损失的影响是渐进肌肉萎缩,最终过早死亡。1,10,11
通过选择所需的目标序列互补,phosphorodiamidate吗啉代寡聚物(pmo)绑定到pre-mRNA设计,改变了拼接过程,跳过目标外显子从成熟的信使rna序列。这种外显子跳过代理使合理sequence-guided针对外显子被排除在成熟的信使rna,恢复肌营养不良蛋白转录本的阅读框,并允许缩短内部的生产,然而功能,蛋白质在符合条件的患者在图片删除。12,- - - - - -,15Eteplirsen是第一个PMO批准在美国DMD患者确认DMD突变的外显子51跳过。16,- - - - - -,18
Golodirsen(以前srp - 4053)是一种新的PMO,与外显子53的肌营养不良蛋白pre-mRNA,和恢复mRNA阅读框患者确认DMD突变的外显子53跳过,15其中包括DMD患者的7.7%。19golodirsen治疗的目的是为了方便生产内部缩短肌营养不良蛋白的蛋白质和最终减缓病情发展。这份报告提出了安全、药物动力学和生物活性数据的golodirsen DMD患者和证实了基因突变的外显子53跳过。
方法
研究设计
这个多中心1/2期临床试验设计的参与Sarepta疗法,Inc . (Cambridge, MA),从每个参与国家团体,和学术SKIP-NMD项目的成员,包括2部分(图1一个)。第1部分是一个随机、双盲、安慰剂对照、剂量滴定研究。它的主要目的是评估安全、耐受性和药物动力学4剂量水平的升级golodirsen或安慰剂在12周的治疗。168周,第二部分是一个长期的开放性评价旨在评估生物功效(主要生物测量结果(48周)和临床疗效(144周)和每周的安全(四)注入golodirsen 30毫克/公斤缺失突变患者适合外显子53跳过。治疗组患者的一个删除不适合外显子突变53跳过被招募的第2部分研究探讨探索性临床生物标志物的价值。
标准协议的审批、登记和病人同意
这项研究是在clinicaltrials.gov注册(NCT02310906),进行符合赫尔辛基宣言的原则和国际委员会协调好临床实践指南。伦理批准了在每个参与的中心(英国伦敦和纽卡;法国巴黎;和罗马、意大利)和提供的所有患者的父母或法定监护人的书面知情同意前学习参与和基因检测;所有的病人提供书面同意。
研究的患者
第1部分病人资格入学是6 - 15岁的男孩(包容)诊断为DMD和帧频失调的删除服从外显子53跳过,基因组多路ligation-dependent探测器放大或确认DMD基因测序。额外的入选标准包括平均6分钟步行试验(6 mwt)距离≥250米在筛查和基线的访问和一个动态评估北极星总分> 17或上升(高尔)< 7秒的时间。额外的需求稳定心脏功能(左心室射血分数≥50% <基于超声心动图筛查和高职院校学前教育专业450 ms基于筛选心电图),预测百分比用力肺活量的至少50%,没有夜间通风要求,并采取一个稳定剂量的口服糖皮质激素前至少24周星期1。
排除标准以外的任何治疗糖皮质激素的使用,可能会影响肌肉力量或函数,大手术计划,改变挛缩治疗3个月内,或其他临床重大疾病,会干扰参与这项研究。
所有患者完成第1部分转换到第2部分。额外的病人参加第2部分包括首次治疗6 - 15岁的男孩谁见过相同的标准第一部分,以及删除不适合外显子突变患者53跳过担任探索性的治疗组疗效端点(第2部分)。
随机化和屏蔽
在第1部分中,患者被随机分配(2:1)接收golodirsen或安慰剂给药前1周使用交互式语音应答系统。所有病人,家长/护理员,调查人员和研究人员没有参与制备研究药物对治疗分配也不清楚。合格的药剂师被授权验证治疗和剂量选取作业和不允许与参与者互动。在第2部分中,所有符合条件的患者接受非盲治疗golodirsen。
组织部分分配给逆转录聚合酶链反应(rt - PCR)、免疫印迹分析,和组织免疫荧光染色被分配眩目的代码生成和提供的PharPoint研究,Inc .(达勒姆数控)。调查人员和实验室人员仍然蒙蔽病人识别、活组织检查的时间点,在所有分析和治疗状态。
研究治疗
在第1部分中,随机golodirsen或安慰剂的患者接受每周静脉输液。至少2周后治疗的最初4毫克/公斤剂量,患者随机golodirsen收到剂量的10,20或30毫克/公斤每2周之前升级到下一个剂量。启动之前golodirsen剂量在第2部分中,一个独立的数据安全监测委员会被要求审查安全剂量滴定的数据阶段。在此安全检查,所有患者完成第1部分继续接收蒙蔽每周静脉输液golodirsen 30毫克/公斤或安慰剂/原来的随机化。完成安全检查后,所有患者从第1部分和第2部分中首次治疗患者新入校,发起开放周静脉输液治疗golodirsen 30毫克/公斤。golodirsen剂量和安慰剂的计算基于最近记录病人的体重,和患者严密监控每个注入完成后至少1小时。病人参与治疗的对照组没有收到任何研究药物但继续目前的标准治疗。
研究评估
主要和次要的安全性和临床疗效端点第1部分和第2部分中进行了总结图1一个。目前的报告描述了安全、耐受性和药代动力学端点评估在第1部分中,预定的生物端点评估通过48周后第2部分肌肉活检的集合。第1部分安全端点进行评估在所有随机患者(证据级别I)。药代动力学端点active-treated病人4中进行评估,10,20日或30毫克/公斤在访问1,3,5,7,分别。主要生物端点失明改变基线在48周的抗肌萎缩蛋白蛋白质水平的免疫印迹。二级生物端点是外显子53跳过的评估,以rt - pcr,和抗肌萎缩蛋白sarcolemmal定位评估使用免疫组织化学(证据级别IV)。临床疗效端点,144年将在本周完成,将一个单独的重点出版时的计算。
安全评估
患者评估安全性和耐受性的研究。不良事件(AEs)被认为是治疗诱发的如果他们之间发生起始的第一剂量golodirsen最后剂量后28天。临床实验室指标、生命体征、身体检查,12导心电图和超声心动图/超声心动图是例行监测。安全数据从第1部分失明的时候写的手稿。
药代动力学方法
golodirsen浓度的验证方法分析病人血浆被以高和低量程分析(1 - 100μg /毫升和10 - 1000 ng / mL,分别)。详细描述所使用的药代动力学方法可以从森林女神(https://doi.org/10.5061/dryad.g003051)。
肌肉活检方法
肌肉活检标本收集从一个肱二头肌肌肉在基线和48周的时候侧肌肉的第2部分使用一个优化,标准化避免外科手术技术问题之前经历了在该领域的其他研究。20.对于每一个活检手术,2块肌肉(样品A和B)切除,分配,并分别进行了分析。患者在治疗组没有肌肉活检,并不包括在肌营养不良蛋白评估。肌肉活检组织安装与最小10月cryosectioned, blind-labeled患者ID和治疗状态和分配给由免疫印迹分析,rt - pcr、免疫组织化学。
免疫印迹分析
下的免疫印迹试验进行良好的临床实验室实践标准。西方的屁股被处决根据验证方法改编自查尔斯顿等。21肌营养不良蛋白水平的treatment-blinded样本从潜油电泵标准曲线计算从0.25%到4%不等。报道抗肌萎缩蛋白含量的平均值生物复制技术凝胶和2复制为每个样本的结果。
外显子跳跃分析
Cryosectioned组织部分肌肉活检样本treatment-blinded和样品均质试剂盒中的试剂(热费希尔科学、沃尔瑟姆,MA)分离总RNA。RNA质量评估使用5 k / RNA / DNA化验LabChip变体和LabChip GXII触摸HT (PerkinElmer, Inc .,沃尔瑟姆,MA)。详细描述的方法用于外显子不分析,包括患者的基因型、e 1所示表和外显子的比例如图e 1(53跳过https://doi.org/10.5061/dryad.g003051)。
免疫荧光染色法和图像捕获
评估肌营养不良蛋白定位、肌肉活检组织cryosections treatment-blinded样本dual-stained(表现在爱荷华大学医院和诊所的Steven a . Moore)在1:25 antidystrophin抗体(MANDYS106,克隆2 c6鼠单克隆抗体来自格伦·莫里斯,沃尔夫森中心遗传性神经肌肉疾病,得以,英国现在商用从微孔[MABT827,克隆2 c6])和anti-lamininα2抗体1:400 (ab11576,克隆4 h8、很多GR95776-14鼠单克隆抗体;Abcam Cambridge, MA),其次是孵化检测鸡尾酒,其中包括Alexa萤石594山羊anti-mouse IgG2a (A21135,很多1366503;热费希尔科学)和Alexa萤石488兔子anti-rat免疫球蛋白(H + L) (A21210,很多53122;热费希尔科学)。20.
组织部分使用验证整场幻灯片扫描仪成像方法在20×放大荧光素(Alexa萤石488;层粘连蛋白α2信号)和tetramethylrhodamine (Alexa萤石594;MANDYS106信号)检测通道使用3 dhistech全景MIDI荧光扫描仪(PANMIDI;珀金埃尔默)以固定曝光时间(成像在旗舰生物科学公司,西敏寺,CO)。Contrast-inverted MANDYS106-stained图像在Alexa萤石594通道处理正确的背景染色之前进行了分析。的外部区域分析(ROA)至少是1毫米外组织的一个内部排除ROA了周围的组织。0.5毫米的网格2覆盖在组织和1盒在每个象限被确认为分析背景信号(图飞行中,https://doi.org/10.5061/dryad.g003051)。详细描述的方法用于校正背景和图像捕获,包括图e - 3显示选择大功率领域和图显示的一个例子的军医background-corrected倒Alexa萤石形象,可以从森林女神(https://doi.org/10.5061/dryad.g003051)。
百分比dystrophin-positive纤维
评估比例dystrophin-positive纤维(PDPFs)是根据执行方法改编自查尔斯顿等。21由3训练有素的病理学家均获得大功率蒙蔽了所有字段(HPFs分区)。培训确保病理学家靠近肌肉纤维的评价和评分相同的标准识别dystrophin-positive肌肉纤维和肌肉纤维的总数。随机复制图片的评分是用来评估intrapathologist精度。病理学家决定积极的肌肉纤维外观检查的基础上background-corrected倒Alexa萤石594数字图像。总纤维数量定义的结构的纤维横截面。总纤维计数完成而病理学家认为Alexa萤石488 -只有HPFs分区。得分的dystrophin-positive纤维background-corrected Alexa萤石594 HPFs分区之前完成得分的肌肉纤维使用Alexa萤石488 HPFs分区。
统计分析
为每个病人样本2活组织检查时间点(基线与第2部分[48周]),复制运行进行确定抗肌萎缩蛋白水平正常(%)通过免疫印迹,%外显子跳过,rt - pcr和手动PDPFs得分。从可用的样品复制值的平均值是用于分析。
改变从基线和褶皱为每个病人从基线计算如下:
肌营养不良蛋白水平正常(%)由蛋白质印迹,%外显子跳过,rt - pcr和手动评分PDPFs的所有患者的平均基线和第2部分,48周。此外,改变从基线到第2部分,48周,和褶皱变化从基线到第2部分,平均48周,在所有的病人。
从基线变化肌营养不良蛋白水平正常(%)评估使用1示例排列t测试。测试信号来确定外显子在第2部分跳过,48周,大于均值比率在基线。统计学意义是对所有分析α< 0.05。外显子之间的相关性53跳过和肌营养不良蛋白水平正常(%)和PDPF与肌营养不良蛋白水平正常(%)进行使用枪兵的方法。所有统计分析使用SAS 9.4版本(卡里,NC)除了排列t测试使用R的包。
数据可用性
研究结果和个人去除了识别信息的病人数据将不会被公开访问存储库中可用来保护病人的利益和调查人员,按照政策Sarepta疗法,Inc .,符合一般的数据保护监管。
结果
基线特征和安全
人口结构和所有25个研究病人的疾病特征golodirsen本报告所描述的进行了总结表1。在第1部分中,筛选和12 13例患者随机接受每周静脉输液golodirsen 4毫克/公斤其次是剂量升级golodirsen 10、20和30毫克/公斤(n = 8)或安慰剂(n = 4;图1 b)。所有的病人报告至少1治疗诱发的AE (TEAE),其中没有一个是认真的。没有病人由于TEAE停止。温和的流泪是在2例报告:金黄色葡萄球菌感染Port-A-Cath和发热。流泪是评估与研究药物相关的调查员8例。一般而言,报告的流泪的第1部分本研究符合预期的在儿科人口DMD。
药物动力学
药物动力学评价8 active-treated病人剂量水平4、10、20日和30毫克/公斤在访问1,3,5,7,分别(表飞行,https://doi.org/10.5061/dryad.g003051)。每个剂量级别后,在24小时postdose浓度达到或接近下限的定量(10 ng / mL)。dose-proportional增加最大浓度(Cmax)观察7840 ng / mL的几何平均的最低剂量4毫克/公斤和53300 ng / mL的最高剂量30毫克/公斤。30毫克/公斤,等离子体间隙(CLp)和体积分布的研究药物在稳态(Vss)观察到的几何平均数346毫升/小时/公斤和668毫升/公斤,分别和半衰期平均3.42±0.63小时。短的半衰期也表明,每周给药在等离子预计没有积累。暴露与剂量增加成比例地增加(表e - 3,https://doi.org/10.5061/dryad.g003051)。
大部分的恢复研究药物排泄在第一个4小时(表的军医,https://doi.org/10.5061/dryad.g003051)。的百分比给golodirsen恢复24小时尿液在54.5%和60.4%之间,而肾清除率(CLR)占54.5%,54.7%,60.6%,和59.0%的总系统间隙(CL)访问1、3、5和7(4、10、20和30毫克/公斤),分别为(表e-5,https://doi.org/10.5061/dryad.g003051)。
肌营养不良蛋白的生产
使用每周golodirsen治疗,意味着正常肌营养不良蛋白的蛋白质百分比以免疫印迹(SD 1.033%), 1.019%的范围在0.09% - -4.30%的患者(图2中,A和B),代表显著增加超过基线(p< 0.001;意味着基线肌营养不良蛋白水平估计的0.095% (SD) 0.068%,区间0.02 - -0.31)。利用统计分析的方法部分中,我们观察到一个大约16倍的抗肌萎缩蛋白增加。基线活检肌营养不良蛋白水平的免疫印迹是一贯很低(图2 b),只有一个病人的基线示例高于0.25%的最低标准曲线点(图2一个)。评估药物作用比基线肌营养不良蛋白水平增加22挑战是由于缺乏定量的蛋白质测定精确测量的低水平的抗肌萎缩蛋白通过免疫组织化学方法检测到在大多数DMD患者。在某些样本跌破0.25%,免疫印迹方法利用这种分析能够检测信号在适当的肌营养不良蛋白的分子量。这使外推估计的平均值为0.095%基准样本。
(A)免疫印迹的例子与基线(标记为提单)和治疗4例患者(Tx)配对样本。数字高于Tx凝胶车道指示正常控制肌营养不良蛋白百分比,从标准曲线计算在每一个污点(车道用4%,2%,1%,0.5%,0.25%)。在两个面板,莱茵0代表基线治疗DMD控制组织没有正常控制溶菌产物。箭头和价值观上面凝胶显示正常肌营养不良蛋白测量百分比表示道。(B)免疫印迹数据显示为平均肌营养不良蛋白正常的百分比为每个患者在基线(圆圈)和第2部分,48周,(实心方块),肌营养不良蛋白水平轴表示为线性值。*样品阅读以上量化的上限。
替代归责方法用于敏感性分析增加的抗肌萎缩蛋白水平从基线到第2部分,48周。除了使用外推估计,更为保守的分析方法只使用值在标准曲线范围内(0.25% - -4%)。数据分析使用更为保守的罪名所有导致显著增加(p< 0.001)从基线在第2部分肌营养不良蛋白的蛋白质,48周的(表e-6,https://doi.org/10.5061/dryad.g003051)。
我们调查的差异是否药物暴露的持续时间(表e -,https://doi.org/10.5061/dryad.g003051)可以在肌营养不良蛋白表达差异比较结果对病人参与1和2两个部分vs只有第2部分的临床研究。虽然2病人最多的golodirsen剂量也有较高的抗肌萎缩蛋白的免疫印迹,总的来说,没有观察到的相关性之间的剂量或暴露的持续时间和抗肌萎缩蛋白表达。
改变患者的肌营养不良蛋白mRNA拼接golodirsen可以测量使用rt - pcr半定量的端点作为省略了外显子的抗肌萎缩蛋白mRNA 53相对于信使rna的数量,包括外显子53。外显子跳过所有病人的平均百分比从2.590%上升(SD, 4.0864%;在基线范围0.00% - -14.69%)到18.953% (SD, 13.2245%;第2部分范围内,2.62% - -48.03%),48周,平均28.897倍增加(SD, 39.6763;范围内,在外显子53跳过(2.59 - -150.36)图3一)。桑格扩增的产物菌进行基因的DNA序列分析exon-skipped乐队在跳过外显子形成的新外显子结53确认恢复阅读框在100%的评估患者的肌营养不良蛋白记录(数据没有显示)。
(A)治疗golodirsen演示增加跳过外显子53的肌营养不良蛋白mRNA。百分比外显子53跳过个别患者在基线(圆圈)和治疗(满广场)。数据代表的意思是4 - 8±SD值复制。(B)外显子53跳过百分比之间的正相关和生产的肌营养不良蛋白的蛋白质。外显子53跳过百分比变化从基线策划对肌营养不良蛋白的蛋白质的变化从基线,以免疫印迹(枪兵r相关系数:0.500;p= 0.011)。
golodirsen一致的行动机制,外显子之间显著正相关,跳过和新创肌营养不良蛋白的蛋白质表达观察枪兵r相关系数为0.500 (p= 0.011;图3 b)。此外,肌营养不良蛋白表达是本地化的肌纤维膜golodirsen患者。张幻灯片在基线扫描图像,第2部分,48周,从2例(平均和高肌营养不良蛋白水平的免疫印迹)显示为例子图4中,A和B。染色强度明显增加肌营养不良蛋白高于基线水平明显,显然是本地化的肌纤维膜。
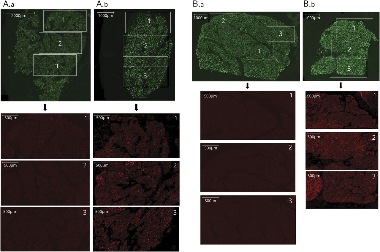
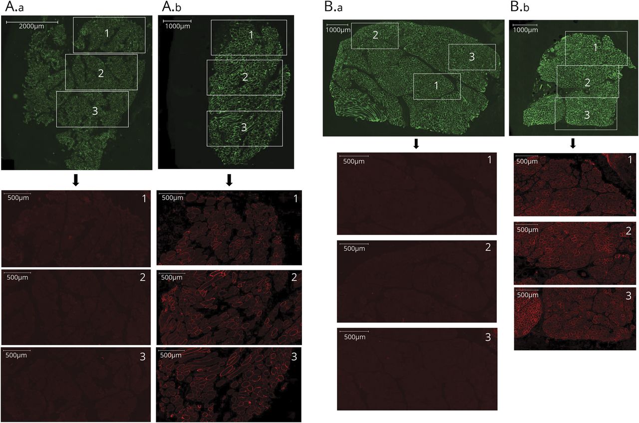
(一)示例1:低放大图像的整个组织切片染色层粘连蛋白α2(绿色,所有的纤维染色)和肌营养不良蛋白(红色)。共有2843名肌肉纤维中基线整场幻灯片图像(一位)和1077纤维在第2部分中,48周,图像(A.b)。三个突出区域从整个组织部分(绿色)下面放大每个图像来说明相应的肌营养不良蛋白染色在这些地区(红色)。图像强度没有捕获的图像增强和代表原始。肌营养不良蛋白的蛋白质在第2部分,48周,正常的4.3%,以这个病人的免疫印迹。(B)示例2:低放大图像的整个组织切片染色层粘连蛋白α2(绿色,所有的纤维染色)和肌营养不良蛋白(红色)。共有4945名肌肉纤维中基线整场幻灯片图像(本科)和2167纤维在第2部分中,48周,图像(反方向)。三个突出区域从整个组织部分(绿色)每幅图下面放大突出相应的肌营养不良蛋白染色在这些地区(红色)。图像强度没有捕获的图像增强和代表原始。肌营养不良蛋白的蛋白质在第2部分,48周,正常的1.91%,以这个病人的免疫印迹。
PDPF得分表明,每周治疗48周的时候golodirsen导致患者显著增加积极的抗肌萎缩蛋白纤维(p< 0.001)。平均得分PDPF基线水平为1.430% (SD, 2.042;范围内,0.06% - -9.75%),而平均得分PDPF 48周为10.471% (SD, 10.102;范围内,0.87% - -32.59%),平均增加13.461倍(SD, 11.9171;范围内,1.88 - -49.67)。PDPF数据为每个患者在基线和第2部分,每周48所示图5一个。组内相关系数(ICC) interpathologist一致性估计的相关性分数相同的部分由不同的病理学家。积极的抗肌萎缩蛋白纤维interpathologist ICC为0.8134 (95% CI, 0.8080 - -0.8192)。
(A)的基线值为每个病人显示为PDPF圆圈和第2部分开放,48周,强度显示为实心方块。这提供了一个现成的方法来可视化图示相对每个病人的变化。数据代表的意思是3 - 4复制与SD酒吧。(B)免疫印迹蛋白质从基线标注在x轴和dystrophin-positive纤维百分比变化从基线评估手册得分为轴。斯皮尔曼分析显示显著相关(p< 0.001;r= 0.663)。每个点代表一个病人。
肌营养不良蛋白的蛋白质之间的正相关和线性关系以免疫印迹和肌营养不良蛋白定位膜(PDPF)观察到的斯皮尔曼相关系数为0.663 (p< 0.001),如所示图5 b。
讨论
first-in-human,多中心试验中,我们评估肌营养不良蛋白生产(主要生物测量结果),外显子53跳过,肌营养不良蛋白定位在48周肌肉活检的病人每周与golodirsen静脉治疗。本周48个时间点被指定为肌营养不良蛋白的主要生物评估允许足够的时间生产与eteplirsen基于以前的经验,一个反义PMO瞄准的外显子51DMD基因。17,23我们的发现证明了健壮的药理活性golodirsen使用3独立、互补的方法。所有25个外显子的患者增加跳过53岁golodirsen展示目标接触的明确证据。主要研究生物端点是实现,随着显著增加约16倍在新创基线观察肌营养不良蛋白蛋白表达的免疫印迹在48周,平均1.019%的正常和一系列患者的0.09% - -4.30%。新创肌营养不良蛋白蛋白正确本地化的肌纤维膜显著增加意味着改变PDPF从基线到10.471%,平均增加了13.461倍。肌营养不良蛋白响应测量的一致性互补的化验和外显子之间的正相关跳过和肌营养不良蛋白蛋白质以免疫印迹和肌纤维膜肌营养不良蛋白定位以手动PDPF golodirsen支持药物的健壮性活动。
虽然golodirsen-treated病人的反应是明确的,跳过和蛋白质水平的恢复在个别病人不同。这一发现可能是由于生理变化等因素在特定的治疗反应的肌肉组织活检和切割肌肉区域,如前所述在临床前模型。24,25然而肌营养不良蛋白的水平用免疫印迹检测使用eteplirsen超过获得的水平之前,在那里,在180年,周的抗肌萎缩蛋白水平上污点范围从0到2.47(意思是,0.93;中位数(计算),0.96)。21
的肌营养不良蛋白恢复必要改变DMD患者的病程是不清楚,临床和临床文献清楚地表明存在极低或跟踪的肌营养不良蛋白水平与改善临床结果。在临床前研究中,非常低水平的抗肌萎缩蛋白(1%至4%)表现出明显的好处在改善的结果,不仅在古典mdx小鼠模型的模式也在双抗肌萎缩蛋白/拉到mdx小鼠模型,用明确的生存受益。26在人类中,几组已经证明,自发DMD患者外显子跳过某些突变类型导致温和的病程,年龄的差异失去移动几年相比,典型的DMD人口。27,28特别是抗肌萎缩蛋白表达在肌肉纤维是由高度敏感的免疫组织化学方法检测DMD患者与基因突变的外显子44跳过,大概由于自发的外显子44跳过。27,- - - - - -,30.重要的是,低水平的抗肌萎缩蛋白通过免疫组织化学方法检测到这些病人通常是低于使用免疫印迹方法检测水平在我们的研究中使用。24
我们最近也在6 mwt的结果证实了显著差异比较适合外显子突变患者53跳过那些服从外显子44跳过。这后一组的病人(较高水平的抗肌萎缩蛋白蛋白质通常发现27)最好在基线和随访结果。31日
持续的数据eteplirsen研究符合这些预测,作为eteplirsen治疗与延迟移动的损失18和年度呼吸功能下降一半。32有条件批准的一个关键方面eteplirsen后处理的示范肌营养不良蛋白恢复。
然而,较高的抗肌萎缩蛋白是必要的纠正肌营养不良蛋白的其他方面不足:临床前研究表明,∼15%的水平是必要的,以保护对偏心contraction-induced肌肉损伤,而更高的水平,在∼40%的范围,也生产正常化的肌肉力量。33因此这些数据表明层次含义不同的肌肉的肌营养不良蛋白水平,从改善肌肉病理,更高水平,也从进一步的破坏,保护肌肉更高水平力代正常化。
验证方法,我们开发了符合当前的监管指导是相同的使用在eteplirsen先前的研究,因此允许一个更直接的对比我们当前的结果和以前eteplirsen发表的研究。17,34应用这些研究中使用的相同的方法,我们最近表明,病人无义突变的外显子42低水平的自发的外显子跳过,导致了在坐标系删除删除记录的无义突变(跳过水平6% - -9.8%)。免疫印迹,这个病人,在他这个年龄似乎遵循一个温和的疾病,抗肌萎缩蛋白水平的3.2%,远的范围内水平在本研究发现在一些病人。30.未来的研究使用这种验证方法和应用于一系列DMD患者或贝克肌肉萎缩症将有助于完善肌营养不良蛋白生产的数量之间的关系和临床过程中,包括遗传修饰符如LTPB4和CD40的角色。34,35
按照我们以前的经验和eteplirsen最近指导提出由美国食品和药物管理局和欧洲药品局,48周没有足够的时间允许治疗患者的轨迹偏离未经治疗的患者。22,36需要较长时间的治疗特点的临床好处外显子不导致低水平的抗肌萎缩蛋白表达。18,23病人的数量进入当前的研究相对较小但与大多数其他DMD I / II期研究的主要终点,足以满足生化功效。
Golodirsen第二PMO所示增加肌营养不良蛋白表达和sarcolemmal定位通过外显子的起始跳过,进一步验证在DMD PMO反义寡核苷酸平台的潜力。结果在这些端点支持结论的一致性,golodirsen将增加水平的功能为DMD患者肌营养不良蛋白基因突变的外显子53跳过疗法。预计产生的水平这个毁灭性的疾病的,下降的速度缓慢,但这将需要更长时间和更大规模的研究证实。进展推进严格的方法来测量肌营养不良蛋白表达应该基于肌营养不良蛋白修复和促进治疗的评价最终将协助澄清肌营养不良蛋白生产和临床结果之间的关系的措施。
研究资金
这项研究是由Sarepta疗法,Inc .)和欧盟第七框架项目(欧盟FP7)之下SKIP-NMD格兰特(没有。健康- f4 - 2012 - 30537)。
信息披露
Sarepta疗法D.E.弗兰克是一个雇员,Inc .,并可能在公司自己的股票或股票期权。F.J.施耐尔的员工Sarepta疗法,Inc .,并可能在公司自己的股票或股票期权。c . Akana当时Sarepta的员工。萨达姆政权El-Husayni Sarepta疗法的一名雇员,Inc .,并可能在公司自己的股票或股票期权。c.a德斯贾丁斯当时Sarepta的员工。支持j·摩根NIHR大奥蒙德街医院生物医学研究中心;本文中表达的观点不一定是她和NHS, NIHR或卫生部。j·查尔斯顿的员工Sarepta疗法,Inc .,并可能在公司自己的股票或股票期权。诉Sardone通过欧盟FP 7没有收到资金。健康- f4 - 2012 - 30537和Sarepta疗法,Inc . j . Domingos没有冲突披露。 G. Dickson works for an institution that received funding from SKIP-NMD and unrelated research funding from Sarepta Therapeutics, Inc.; and is an inventor on a related Royal Holloway, University of London patent. V. Straub has served as an investigator for Sarepta Therapeutics, Inc., and received honoraria and serves/served on advisory boards for Sarepta. M. Guglieri has no conflicts to disclose. E. Mercuri has served as a remunerated consultant for Sarepta Therapeutics, Inc. L. Servais participated in a scientific advisory board funded by Sarepta Therapeutics, Inc. F. Muntoni has served as a remunerated consultant for Sarepta Therapeutics, Inc. and is supported by the NIHR Great Ormond Street Hospital Biomedical Research Centre; the views expressed in this paper are his and not necessarily those of the NHS, the NIHR, or the Department of Health. D.E. Frank and F. Muntoni had full access to all of the data in the study and had final responsibility for the decision to submit the manuscript for publication. Go to首页Neurology.org/N为充分披露。
承认
作者感谢MRC中心神经肌肉疾病的支持通过神经肌肉疾病生物;肌肉萎缩症英国伦敦大学学院的神经肌肉中心的支持;西尔维亚Torelli博士的监督肌肉活检在伦敦存储和处理技术;史蒂文·a·摩尔和威尔斯通肌肉萎缩症合作研究中心(爱荷华州的城市,IA)肌肉活检的援助与分析;和额外的调查人员参与这项研究的一部分跳过NMD研究小组。编辑援助(包括编辑和格式化手稿,更新引用,联系各个合作者征求他们的贡献,更新后的手稿评论家的评论,并提交手稿)提供了在这个Nair (Sarepta疗法,Inc .)和Peloton优势,新泽西,帕西帕尼和健康与健康伙伴,LLC鞍上游,新泽西,这是由Sarepta疗法,Inc .琼娜多死亡。
附录1的作者
附录2 Coinvestigators
脚注
去首页Neurology.org/N为充分披露。资金信息和披露认为作者相关的,如果有的话,年底提供这篇文章。
SKIP-NMD研究小组coinvestigators中列出附录2在本文的最后。
这篇文章所支付的加工费是Sarepta Therapeticus。
类的证据:NPub.org/coe
- 收到了2019年6月11日。
- 接受的最终形式2020年1月5日。
- 版权©2020年作者(年代)。发表的Wolters Kluwer健康,公司代表美国神经病学学会。首页
这是一个开放的分布式根据文章Creative Commons Attribution-NonCommercial-NoDerivatives许可证4.0 (CC BY-NC-ND),它允许下载和共享工作提供适当的引用。不能改变的工作以任何方式或使用未经许可的商业杂志。
引用
- 1。↵
- 2。↵
- 3所示。↵
- 4所示。↵
- 5。↵
- 山晶澳,
- 奥尔森在
- 小林YM,
- 坎贝尔KP
- 6。↵
- 7所示。↵
- 8。↵
- 9。↵
- 10。↵
- 11。↵
- 12。↵
- 13。↵
- 14。↵
- 15。↵
- 16。↵
Exondys 51(包插入)。剑桥:Sarepta疗法公司。;2016年。
- 17所示。↵
- 18岁。↵
- 19所示。↵
- 20.↵
- 弗兰克D,
- DworzakJ,
- 软件的米,等
- 21。↵
- 22。↵
指导行业。杜氏肌萎缩症和相关dystrophinopathies:发展药物治疗。2018年。可以在:fda.gov /下载/药品/ GuidanceComplianceRegulatoryInformation /指引/ UCM450229.pdf。2019年2月5日通过。
- 23。↵
- 24。↵
- 25。↵
- 26岁。↵
- 27。↵
- 安东尼K,
- Arechavala-GomezaV,
- RicottiV,等
- 28。↵
- 29。↵
- 月亮D,
- 胡年代,
- 邦格J,等
- 30.↵
- 沃尔德罗普马,
- GumiennyF,
- El Husayni年代,
- 弗兰克德,
- 维斯RB,
- Flanigan公里
- 31日。↵
- 32。↵
- 汗N,
- EliopoulosH,
- 汉l,等
- 33。↵
- 34。↵
- 贝罗l,
- Flanigan公里,
- 维斯RB,等
- 35。↵
- 36。↵
欧洲药品局。指南在医药产品的临床研究治疗杜氏营养不良症和贝克尔肌肉萎缩症。可以在:ema.europa.eu / docs / en_GB / document_library / Scientific_guideline / 2015/12 / WC500199239.pdf。2018年11月5日通过。
信:快速的网络通信
你可能也会感兴趣
主题讨论
提醒我
推荐的文章
- 文章
WGS和诊断非编码RNA研究DMD变体男性高肌酸激酶利b . Waddell萨曼莎j . Bryen贝丽尔卡明斯et al。
首页神经学:遗传学,2021年1月29日 - 文章
Eteplirsen杜氏肌萎缩症治疗外显子跳跃和肌营养不良蛋白生产
Jay美国查尔斯顿,弗雷德里克·j·施耐尔,约翰Dworzak et al。
首页神经学,2018年5月11日 - 文章
遗传和生化规范化杜氏肌萎缩症女性的载体中肌营养不良蛋白生产失败的证据dystrophin-competent myonuclei
e . Pegoraro r . n . Schimke c·加西亚等。
首页神经学,1995年4月1日 - 文章
肌营养不良蛋白量化生物和转化研究的影响
凯伦·安东尼弗吉尼亚Arechavala-Gomeza劳拉·e·泰勒等。
首页神经学,2014年10月29日


